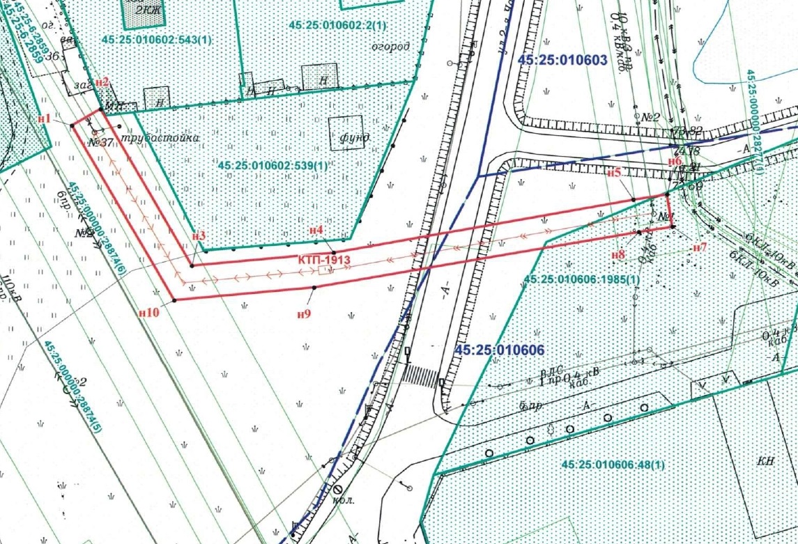
Департамент архитектуры, строительства и земельных отношений Администрации города Кургана информирует, что в связи с обращением АО «СУЭНКО» рассматривается ходатайство об установлении публичного сервитута в целях размещения сооружения электроэнергетики (Отпайка на КТП-1913 от ВЛ-10 кВ 36-193; КТП-1913; ВЛИ-0,4 кВ от КТП-1913).
Описание местоположения земельного участка, в отношении которого испрашивается публичный сервитут: 45:25:010606:1985.
Кадастровые кварталы 45:25:010602 и 45:25:010606.
Адрес, по которому заинтересованные лица могут ознакомиться с поступившим ходатайством об установлении публичного сервитута: г. Курган, ул. Пушкина, 83/1, каб. № 7, приёмные дни: вторник с 9:00 до 12:00 часов, среда с 13:00 до 17:00 часов. Срок подачи заявлений об учете прав на земельные участки в течение 15 дней с момента опубликования
Курган